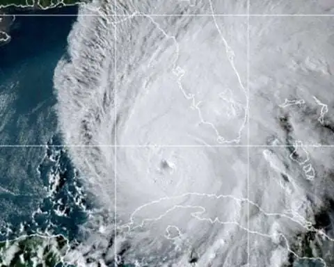
Hurricane Ida, the fourth and strongest storm of the 2021 Atlantic hurricane season to date, has made its way to New York City. Despite having been downgraded to a tropical depression, Ida caused widespread flooding and devastation in New York, New Jersey and Pennsylvania.
Over the past decade, extreme weather events like storms, floods, droughts and wildfires have become more frequent, resulting in higher economic losses, as our first chart shows.
Hurricane Ida, the fourth and to-date strongest storm of the 2021 Atlantic hurricane season, has made its way to New York City, albeit as a much weaker tropical storm. Nevertheless, Ida caused widespread flooding and a state of emergency declaration in the United States’ biggest city.
Hurricane
The current season has so far produced four out of the six to ten predicted hurricanes, but the most active and dangerous time between August and October is still underway.

Over the past decade, global economic losses from weather events like storms, floods, droughts and wildfires have grown more costly.
During the first decade of the 21st century, there were only two years when weather disasters cost more than $200 billion (including 2010). In the second decade, those $200 billion-dollar-a-year losses seem to have become more normal, with seven out of ten years grossing over $200 billion in global losses from weather events.
The costliest year on record was registered in 2017, totaling over $470 billion in losses, including those from major Hurricanes Harvey, Maria and Irma. All in all, weather damages totaled approximately $2.5 trillion around the globe between 2011 and 2020, up almost 50 percent from the 2001-2010 figure.
As part of the 2020 Weather, Climate and Catastrophe Insight report, insurance service provider AON points out that due to the influences of climate change, it is expected that “the storms which do develop have the potential to be larger, more intense, and pose a greater risk to coastal and inland vulnerabilities.”


